12020 Interstate 10, Converse, TX 78109
Property Photos
Would you like to sell your home before you purchase this one?
Priced at Only: $2,900,000
For more Information Call:
Address: 12020 Interstate 10, Converse, TX 78109
Property Location and Similar Properties
- MLS#: 1931568 ( Land )
- Street Address: 12020 Interstate 10
- Viewed: 35
- Price: $2,900,000
- Price sqft: $0
- Waterfront: No
- Year Built: Not Available
- Bldg sqft: 0
- Days On Market: 7
- Additional Information
- County: BEXAR
- City: Converse
- Zipcode: 78109
- District: East Central I.S.D
- Elementary School: Tradition
- Middle School: Heritage
- High School: East Central
- Provided by: Real Estate Connection
- Contact: Richard Rodriguez
- (210) 771-8834

- DMCA Notice
-
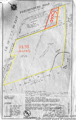
DescriptionBUY ALL OR PART of this (Ag Exempt) farmland features 419 feet of Interstate 10 highway frontage and 181 feet of road frontage on Freudenburg Rd, offering incredible potential for development. The cleared land is ideal for various uses, including a retail strip, movie theater, industrial park, auto auction site, trucking yard, new car dealership, oil field facility, Truck Stop, residential construction, indoor storage, or open air boat and RV storage. Located just outside Loop 1604 near San Antonio and Converse, the property is in a rapidly growing area with new home subdivisions but limited shopping, dining, and entertainment options. A large D.R. Horton community is being built nearby, adding to the area's appeal. Conveniently situated on Toll Road 130 to Austin and Houston, utilities are available at the street, though a septic system is currently required. This is a rare opportunity to develop in a booming location with endless possibilities.
Payment Calculator
- Principal & Interest -
- Property Tax $
- Home Insurance $
- HOA Fees $
- Monthly -
Features
Building and Construction
- Frontage: U.S. Highway
- Terrain: Gentle Slope
Land Information
- Total Acres: 28.38
School Information
- Elementary School: Tradition
- High School: East Central
- Middle School: Heritage
- School District: East Central I.S.D
- School Tax: 9738.45
Eco-Communities
- Septic System: Allowed
- Trees: Few
Utilities
- Utilities Available: Water System, Electric
- Utilities On Site: None
- Utility Supplier Elec: CPS
Finance and Tax Information
- Days On Market: 297
- Home Owners Association Mandatory: None
- Other Tax: 2646.95
- Total Tax: 20859.7
Other Features
- Contract: Exclusive Right To Sell
- Description: Undeveloped, Irregular
- Improvements: Paved Roads, Fire Hydrant w/in 500, State Highway, US Highway
- Instdir: On Access Rd of INTERSTATE-10 @ Freudenberg Rd
- Legal Description: NCB 18228 P-3 (10.55AC) CB 5084 P-9 (3.275AC) A-584 CB 5087
- Location: Greenbelt, Country View, Hunting Permitted
- Miscellaneous: Partial Flood Plain, Ag Exempt
- Ph To Show: 210-771-8834
- Restrictions: Easements, Mobile Homes Allowed, Manufactured Hms Allowed, Horses Allowed, Farm Animals Allowed
- Site Area Features: Hunting
- Views: 35
- Zoning: OCL AND R6
Owner Information
- Owner Lrealreb: No
Nearby Subdivisions
- Olivia Ordonez
- Premier Realty Group
- Mobile: 915.422.7691
- olivia@thedanogroup.com
























